Os melhores resultados em todas as safras.

Os melhores resultados em todas as safras.

Garantir altas produções de grãos pode ser um grande desafio. Porém, com a tecnologia de irrigação inteligente é possível assegurar a aplicação de água e nutrientes da maneira que a sua produção precisa. Agora ficou fácil conciliar altas produtividade com rentabilidade para o seu cultivo.

O desafio do produtor de grãos

O clima instável, a falta de água e a incerteza do plantio da segunda safra são os maiores problemas que um produtor de grãos pode enfrentar.

Os sistemas de irrigação tradicionais trazem benefícios ao seu cultivo, porém são menos eficientes na distribuição de água, não garantindo alta uniformidade da aplicação. Além de não atingirem totalmente a área agricultável.

A irrigação por gotejamento pode ser aplicada em 100% de sua área, garantindo rentabilidade e eficiência operacional do plantio, além de garantir a aplicação correta de todos os recursos e a possibilidade de produzir o ano todo.

Como irrigação inteligente pode ajudar

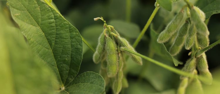
A irrigação inteligente confere ao produtor maior controle sobre a gestão de água, além de ter eficácia para levar o nutriente diretamente à raiz da planta, oferecendo maiores benefícios para o cultivo de grãos. Com o nosso sistema é possível adaptar o manejo de irrigação para sua plantação, realizar a rotação de cultivos (como soja, milho, algodão, trigo, entre outros), controlar o número de aplicações e, assim, fazer com que o seu cultivo receba tudo o que precisa na hora certa e no lugar certo. Irrigação inteligente é a garantia de bons resultados em grãos. 

A Netafim ainda oferece a linha de Digital Farming que contempla produtos de alta tecnologia, que asseguram o gerenciamento de todos os detalhes da irrigação e da nutrirrigação de maneira prática, moderna e eficaz, além de proporcionarem economia expressiva de mão-de-obra e fertilizantes. Essa tecnologia confere ao produtor a tranquilidade e segurança de ter em mãos todas as informações e controle da sua produção, onde quer que você esteja.

Saiba mais
459

Gotejamento subterrâneo

A Netafim traz para você, produtor, a tecnologia mais avançada de irrigação, o gotejamento subterrâneo. Essa solução possibilita realizar tanto a colheita da safra, quanto o plantio da safrinha no mesmo dia, sem interferências na área, irrigando e nutrirrigando como todo produtor merece.

O avançado sistema, no qual os tubos gotejadores ficam abaixo do solo, possibilita a aplicação de água e nutrientes diretamente na raiz da planta. Isto garante melhor absorção e ainda simplifica as operações agrícolas da fazenda, possibilitando a rotação de culturas e uso de maquinários sem prejudicar sua produção, facilitando ainda mais seu dia-a-dia e aumentando sua rentabilidade.

Grandes resultados para todas as safras.

Como sabemos conciliar produtividade com rentabilidade é muito mais fácil com a Irrigação Inteligente. Para comprovar é só analisar os dados ao lado.

Solicitar informações

Histórias de produtores.

Conheça os produtores pioneiros em irrigação por gotejamento subterrâneo em Grãos.

5256

João Ricardo conseguiu irrigar sua área total com menos água e energia.

“A produção vem aumentando ano a ano. Estamos bem contentes”.

João Ricardo Dona

203

Para o Sr. Flávio, seu futuro é com irrigação inteligente.

“É o mesmo milho da área de sequeiro e da irrigada. Podemos ver que a diferença é muito grande. Mesmo com a população muito alta, conseguimos espigas muito grandes”.

Flávio Fialho

Encontre o que você precisa!

Saiba mais sobre as nossas soluções em Grãos & Fibras.

Irrigação para Culturas Anuais

Irrigação para Culturas Anuais

O gotejamento subterrâneo é a solução ideal para irrigar grãos e fibras em área total e de forma 100% harmonizada a outros métodos de irrigação, como os pivôs. Dessa forma, você facilita as operações no campo: plantando, manejando e colhendo de uma única vez!

Uma propriedade muito mais valorizada, uma nova fazenda embaixo dos seus pés!

Fertirrigação

Fertirrigação

Nutrição não é sinônimo de quantidade - é sinônimo de eficiência.

A fertirrigação da Netafim aplica os nutrientes necessários, na quantidade certa, no momento ideal e diretamente para a raiz de cada planta. Assim, você garante a utilização e o retorno mais eficiente da fertilização do seu cultivo.

Nossos Produtos

Nossos Produtos

Encontre soluções de irrigação para atingir altas produtividades!

Em todas as regiões do Brasil, produtores enfrentam desafios para conseguir produzir mais, utilizando menos recursos. Encontre a solução ideal de irrigação da Netafim para verticalizar a sua produção, cultivando até 5 safras em 2 anos, sem precisar expandir a sua propriedade.

FAQs Grãos

Precisa de ajuda para encontrar as melhores soluções para a sua fazenda?

Precisa de ajuda para encontrar as melhores soluções para a sua fazenda?

Entre em contato conosco e poderemos conversar sobre o que seu cultivo precisa.